Бізнес
Без комісії
Відстань до найближчого міста: У місті
Тип нерухомості: Земля житлової й суспільної забудови
Кадастровий номер: 2625810100:05:021:0049
Площа ділянки: 9.78 соток
Будівлі на ділянці: Фундамент
Ландшафт (до 1 км.): Ліс, Пагорби, Річка
Опис
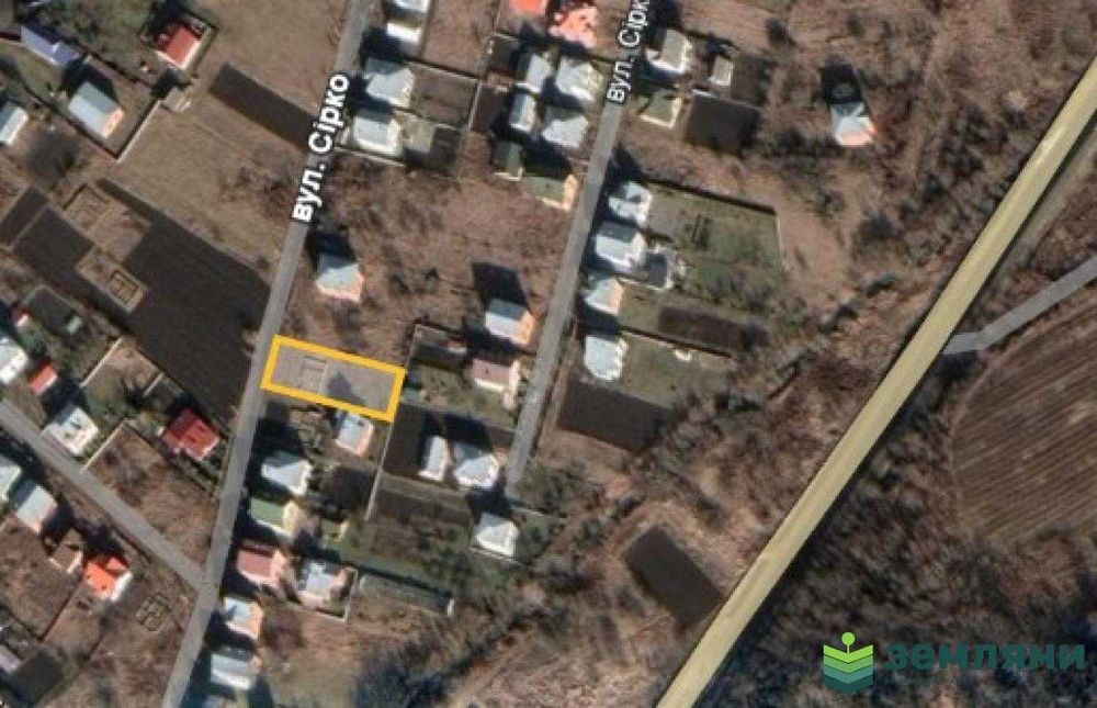
Продається земельна ділянка 9.78 соток в м.Тисмениця по вулиці Сірка під забудову.
- код об'єкту № 1 7 0 6
9.78 соток
20м на 49м
правильної форми
кадастровий номер: 2625810100:05:021:0049
геолокація: 48.902199, 24.876185
заїзд з вулиці Сірка
Цільове призначення: 02.01 Для будівництва і обслуговування житлового будинку, господарських будівель і споруд (присадибна ділянка)
Ділянка знаходиться в гарній для життя локації. Є вже розроблений для цієї ділянки проект будинку. На ділянці є міцний, якісний фундамент. Отриманий дозвіл на будівництво. В 10-15хв ходьби знаходяться центр м.Тисмениця, школа, дитячий садок, відділення Нової пошти, магазини, Тисменицький ліцей, СІМ23, Аврора, ринок. На відстані 15хв на автівці від міста Івано-Франківськ. Також часто їздить громадський транспорт. Поряд, через дорогу побудовані будинки, та мешкають сусіди.
Міжміські маршрутки їздять часто.
Дуже приваблива ціна!
Гарне спокійне місце для власного будинку.
Біля ділянки є світло, газ - організовуємо підключення комунікацій під ключ.
(!) перевірено компанією «Земляни»
Земляни — земельний хаб, який спеціалізується на землі та будинках. У нас є пропозиції ділянок у кращих для життя локаціях міста та околиць, сервіс на всіх етапах і пропозиції готових рішень будівництва на цих ділянках.
Телефонуйте, щоб уточнити деталі та домовитись про огляд у зручний для вас час.
- код об'єкту № 1 7 0 6
9.78 соток
20м на 49м
правильної форми
кадастровий номер: 2625810100:05:021:0049
геолокація: 48.902199, 24.876185
заїзд з вулиці Сірка
Цільове призначення: 02.01 Для будівництва і обслуговування житлового будинку, господарських будівель і споруд (присадибна ділянка)
Ділянка знаходиться в гарній для життя локації. Є вже розроблений для цієї ділянки проект будинку. На ділянці є міцний, якісний фундамент. Отриманий дозвіл на будівництво. В 10-15хв ходьби знаходяться центр м.Тисмениця, школа, дитячий садок, відділення Нової пошти, магазини, Тисменицький ліцей, СІМ23, Аврора, ринок. На відстані 15хв на автівці від міста Івано-Франківськ. Також часто їздить громадський транспорт. Поряд, через дорогу побудовані будинки, та мешкають сусіди.
Міжміські маршрутки їздять часто.
Дуже приваблива ціна!
Гарне спокійне місце для власного будинку.
Біля ділянки є світло, газ - організовуємо підключення комунікацій під ключ.
(!) перевірено компанією «Земляни»
Земляни — земельний хаб, який спеціалізується на землі та будинках. У нас є пропозиції ділянок у кращих для життя локаціях міста та околиць, сервіс на всіх етапах і пропозиції готових рішень будівництва на цих ділянках.
Телефонуйте, щоб уточнити деталі та домовитись про огляд у зручний для вас час.
ID: 895744077
Зв’язатися з продавцем
xxx xxx xxx

