Бизнес
Тип недвижимости: Земля жилой и общественной застройки
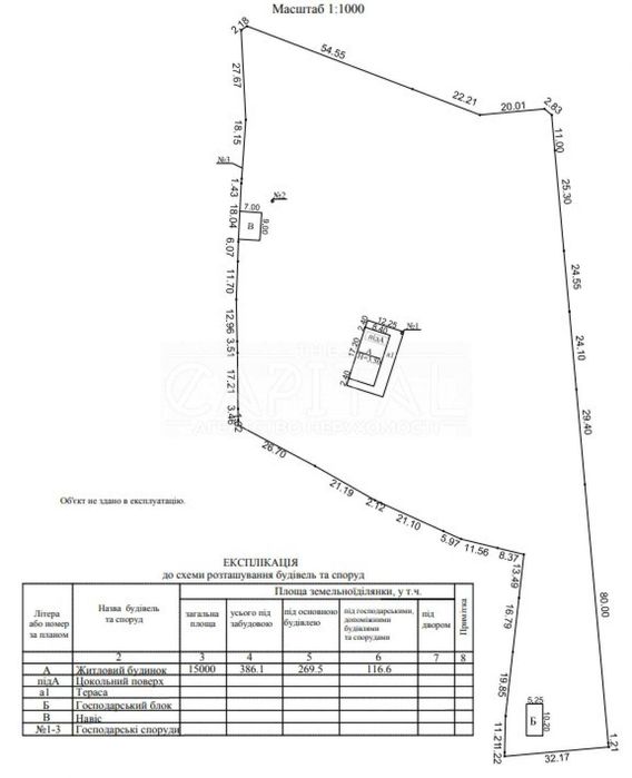
Площадь участка: 150 соток
Коммуникации: Электричество, Канализация септик, Скважина
Постройки на участке: Дом, Вагончик
Инфраструктура (до 500 метров): Парк, зелёная зона
Ландшафт (до 1 км.): Лес
Описание
Продажа участка, Ходосовка, Обуховский р-н.
Продаж ділянки, Ходосівка, Обухівський р-н.
Пропонується на продаж земельна ділянка, розташований у мальовничому місці в Ходосівці. Загальна площа 150 соток (1.5га).
Ділянка має зручний під’їзд з двох сторін, що робить її доступною для будь-яких видів транспорту.
Ділянка включає в себе велику лісову зону, рівнини з ландшафтним дизайном, невеличке озеро (копанку) та фруктовий сад.
Призначення - 02.01 Для будівництва і обслуговування житлового будинку, господарських будівель і споруд (присадибна ділянка)
Категорія - Землі житлової та громадської забудови
Особливістю розташування ділянки є швидкий транспортний доступ до Києва, всього пятнадцять хвилин завдяки двом основним трасам - Новообухівській та Одеській.
Район має розвинену інфраструктуру включаючи елітні школи, клубні комплекси, школу "Динамо" та безліч інших об'єктів. Оточення складається з елітної нерухомості та топових клубних і кінних комплексів.
Унікальністю самої ділянки також є її розташування на різних висотах, що додає ексклюзивності та неймовірного виду ландшафту ділянки. Частину займає ліс, з якого відкривається вид на озеро, частина ділянки має невеличкий природній нахил. Полога частина ділянки ідеально підходить для будівництва однотипних житлових будинків і облаштування скверу.
Лісову частку було максимально збережено при будівництві будинку та облаштування комунікацій, так само як природній шар грунту та природній ландшафт.
Весь периметр ділянки обнесено суцільним парканом, що дозволяє одразу почати будівництво.
Підведено електрику для будівництва (власний трансформатор тупікового типу на 40 КВт, з можливістю підвищити на 150+ кВт).
Також є можливість підвезти газ.
Ця територія ідеально підходить для реалізації масштабних проектів, таких як будівництво котеджного містечка або бази відпочинку.
В лісовій частині ділянки побудовано одноповерховий житловий будинок з терасою +великі тераси. На ділянці є ще один невеликий будиночок для персоналу та житловий контейнер для будівельників.
Пробурено дві скважини, два очисних септики.
Прибудинкова територія в лісовій частині вкрита газоном, також розбито кілька клумб та рабаток;
на пологій частині ділянки розташовано парк з декоративними деревами, ялинками, клумбами та великою площею газону, а також плодовий сад з 20-ти фруктових дерев, виноградником, ягідними кущами та високими грядками.
Запрошуємо вас на перегляд цього чудового об'єкту!
#A5788
Продаж ділянки, Ходосівка, Обухівський р-н.
Пропонується на продаж земельна ділянка, розташований у мальовничому місці в Ходосівці. Загальна площа 150 соток (1.5га).
Ділянка має зручний під’їзд з двох сторін, що робить її доступною для будь-яких видів транспорту.
Ділянка включає в себе велику лісову зону, рівнини з ландшафтним дизайном, невеличке озеро (копанку) та фруктовий сад.
Призначення - 02.01 Для будівництва і обслуговування житлового будинку, господарських будівель і споруд (присадибна ділянка)
Категорія - Землі житлової та громадської забудови
Особливістю розташування ділянки є швидкий транспортний доступ до Києва, всього пятнадцять хвилин завдяки двом основним трасам - Новообухівській та Одеській.
Район має розвинену інфраструктуру включаючи елітні школи, клубні комплекси, школу "Динамо" та безліч інших об'єктів. Оточення складається з елітної нерухомості та топових клубних і кінних комплексів.
Унікальністю самої ділянки також є її розташування на різних висотах, що додає ексклюзивності та неймовірного виду ландшафту ділянки. Частину займає ліс, з якого відкривається вид на озеро, частина ділянки має невеличкий природній нахил. Полога частина ділянки ідеально підходить для будівництва однотипних житлових будинків і облаштування скверу.
Лісову частку було максимально збережено при будівництві будинку та облаштування комунікацій, так само як природній шар грунту та природній ландшафт.
Весь периметр ділянки обнесено суцільним парканом, що дозволяє одразу почати будівництво.
Підведено електрику для будівництва (власний трансформатор тупікового типу на 40 КВт, з можливістю підвищити на 150+ кВт).
Також є можливість підвезти газ.
Ця територія ідеально підходить для реалізації масштабних проектів, таких як будівництво котеджного містечка або бази відпочинку.
В лісовій частині ділянки побудовано одноповерховий житловий будинок з терасою +великі тераси. На ділянці є ще один невеликий будиночок для персоналу та житловий контейнер для будівельників.
Пробурено дві скважини, два очисних септики.
Прибудинкова територія в лісовій частині вкрита газоном, також розбито кілька клумб та рабаток;
на пологій частині ділянки розташовано парк з декоративними деревами, ялинками, клумбами та великою площею газону, а також плодовий сад з 20-ти фруктових дерев, виноградником, ягідними кущами та високими грядками.
Запрошуємо вас на перегляд цього чудового об'єкту!
#A5788
ID: 853191879
Связаться с продавцом
xxx xxx xxx

