Бизнес
Расстояние до ближайшего города: до 15 км.
Этажность: 1
Общая площадь: 42 м²
Количество комнат: 1
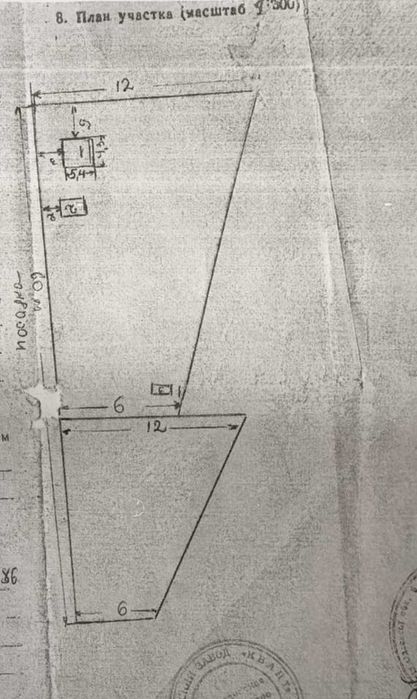
Площадь участка: 12 соток
Тип дома: Дача
Тип стен: Кирпичный
Тип кровли: Шифер
Меблирование: Нет
Комфорт: Решетки на окнах
Коммуникации: Электричество, Вывоз отходов, Газ, Канализация септик, Центральный водопровод
Инфраструктура (до 500 метров): Рынок, Парк, зелёная зона, Магазин, киоск, Остановка транспорта
Ландшафт (до 1 км.): Лес, Холмы, Парк, Водохранилище, Река
Инклюзивность: Вход в уровень с улицей
Описание
Продаю участок-дачу Доброалександровка, недалеко с. Барабой.
Прекрасный вид , рядом лесопосадка, места для отдыха, прогулок и рыбалки.
Здесь фасадный участок, со свободным пространством по всей длинной стороне, в сторону природного массива.
На участке построен летний деревянный домик, с кухней, верандой.
Во все стороны есть дороги, тут удобная транспортная развязка, остановки маршруток в направлениях Одессы, Овидиополя, курортных поселков Одесчины.
Свет и вода проведены на участке, газ рядом, у соседей напротив, дополнительно есть магистраль дешевой поливной воды.
Обжитая улица и надежный кооператив, соседи живут круглогодично.
Звоните, организуем удачную сделку!
Код 379810-20
Прекрасный вид , рядом лесопосадка, места для отдыха, прогулок и рыбалки.
Здесь фасадный участок, со свободным пространством по всей длинной стороне, в сторону природного массива.
На участке построен летний деревянный домик, с кухней, верандой.
Во все стороны есть дороги, тут удобная транспортная развязка, остановки маршруток в направлениях Одессы, Овидиополя, курортных поселков Одесчины.
Свет и вода проведены на участке, газ рядом, у соседей напротив, дополнительно есть магистраль дешевой поливной воды.
Обжитая улица и надежный кооператив, соседи живут круглогодично.
Звоните, организуем удачную сделку!
Код 379810-20
ID: 899290738
Связаться с продавцом
xxx xxx xxx
Опубликовано 09 января 2026 г.
Продаю участок-дачу Доброалександровка, Альфа
6 000 $
Местоположение
Доброалександровка
Одесская область