Бизнес
Расстояние до ближайшего города: В городе
Этажность: 2
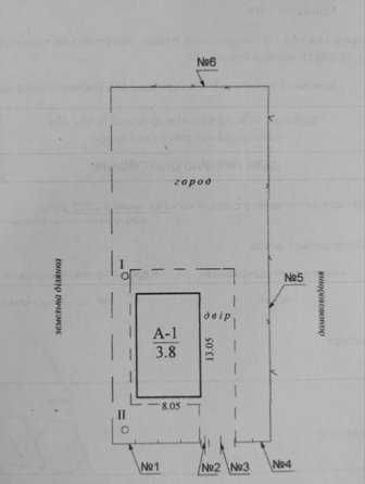
Общая площадь: 83.30 м²
Количество комнат: 4
Площадь участка: 9 соток
Тип дома: Дом
Кадастровый номер: 711040000:00:000:0000
Год постройки / сдачи: 1990 - 2000
Тип кровли: Шифер
Санузел: Смежный
Ремонт: После строителей
Меблирование: Нет
Бытовая техника: Без бытовой техники
Мультимедиа: Без мультимедиа
Коммуникации: Вывоз отходов, Без коммуникаций
Инфраструктура (до 500 метров): Детский сад, Школа, Магазин, киоск, Остановка транспорта
Ландшафт (до 1 км.): Река
Описание
Продаж 2-х поверхового Будинку Новобудови, р-н табір «Максимум». Будинок без внутрішніх робіт, під індивідуальний дизайн та реалізацію своєї мрії. Загальна площа – 83,3 м2, житлова – 42.6 м2. У будинку запроектовано 3 спальні кімнати (11.5 м2, 11.5 м2 та 9.7 м2), вітальня – 13.9 м2, зала – 19.6 м2, кухня - 11.9 м2 з виходом на терасу, санвузол – 5.2 м2.
Матеріал будинку – червона цегла та саманні блоки. Фундамент - кам’яний. Цоколь цегляний високий з гідроізоляцією. Дах – 2-х скатний шиферний. Міжкімнатні перестінки – цегляні з бетонними перемичками. Другий поверх запроектований мансардним де можна обладнати 2 кімнати. Міжповерхове перекриття – дерев’яні балки.
Світло – по вулиці. Газ – по вулиці. Вода та каналізація - відсутня. Вулиця має освітлення в нічний час. Проведено швидкісний інтернет.
Земельна ділянка площею – 9.0 сот., приватизована з виготовленим кадастровим номером. Ділянка рівна, прямокутної форми, частково огороджена парканом. Поруч розташовано табір «Максимум», дитячий садок, школа № 6. До центу міста – 2 км. Ціна 21 000 $. ( 882 000 грн.) Торг!
Матеріал будинку – червона цегла та саманні блоки. Фундамент - кам’яний. Цоколь цегляний високий з гідроізоляцією. Дах – 2-х скатний шиферний. Міжкімнатні перестінки – цегляні з бетонними перемичками. Другий поверх запроектований мансардним де можна обладнати 2 кімнати. Міжповерхове перекриття – дерев’яні балки.
Світло – по вулиці. Газ – по вулиці. Вода та каналізація - відсутня. Вулиця має освітлення в нічний час. Проведено швидкісний інтернет.
Земельна ділянка площею – 9.0 сот., приватизована з виготовленим кадастровим номером. Ділянка рівна, прямокутної форми, частково огороджена парканом. Поруч розташовано табір «Максимум», дитячий садок, школа № 6. До центу міста – 2 км. Ціна 21 000 $. ( 882 000 грн.) Торг!
ID: 897061281
Связаться с продавцом
xxx xxx xxx
Опубликовано 17 ноября 2025 г.
Продам Будинок Золотоноша р-н "Максимум"
21 000 $
Договорная
Местоположение
Золотоношка
Черкасская область
